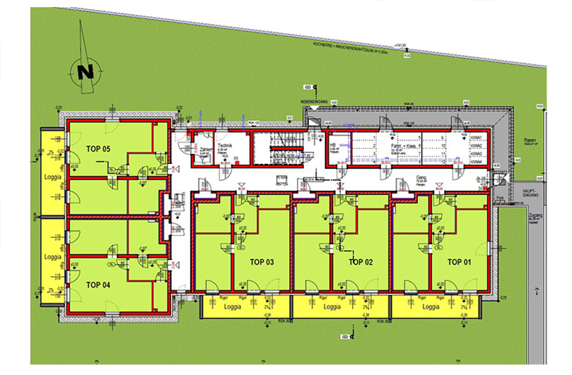
Vorige Nächste zum Inserat der gemeinnützigen Bauvereinigung WAV-WOHNEN Junges Wohnen in Obritz Top 3, An der Pulkau 12/3, 2061 Obritz Verfügbar WAV-WOHNEN Miete Wohneinheit ✔ 2 Zimmer 59,87 m² Fläche 572 € Miete 1.900 € Eigenkapital